
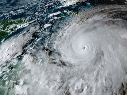
Melissa, un huracán ‘de manual’ en tiempos de crisis climática
Meteorólogos advierten de que la intensidad mantenida del ciclón es una respuesta al aumento de la temperatura del mar. “El calor funciona como combustible”, señalan

Meteorólogos advierten de que la intensidad mantenida del ciclón es una respuesta al aumento de la temperatura del mar. “El calor funciona como combustible”, señalan

El ciclón, de categoría 5 en la escala Saffir-Simpson, es ya el más potente registrado en el Atlántico este año. Naciones Unidas espera “una situación catastrófica en la isla”

El Centro Nacional de Huracanes de Estados Unidos ha reportado que el fenómeno tiene el rango más alto de acuerdo a la escala Saffir-Simpson

El ciclón ha tocado tierra en Jamaica con categoría 5. Consulte los datos de los modelos de predicción: posibles trayectorias, intensidad prevista y velocidad del viento

Los pronósticos prevén que el ciclón alcance Cuba esta madrugada y las Bahamas el jueves | La Habana ha puesto seis provincias de la isla en alerta | El fenómeno presenta vientos de hasta 295 kilómetros por hora

La isla caribeña reporta sus primeros daños de infraestructura a solo horas de que toque tierra el ojo de la que se perfila como la mayor tormenta en la historia del país

El fenómeno meteorológico, en el nivel cinco de la escala Saffir-Simpson, amenaza la isla con vientos destructivos, marejada ciclónica e inundaciones catastróficas

El Elite Performance Track Club por el que han pasado algunos de los mejores velocistas de la historia ha preparado el Mundial de Tokio en Alcobendas, al norte de la capital

Un reporte del Banco Mundial señala que el desarrollo del sector turístico en el Caribe requiere una mirada integral comprometida y urgente para abordar los distintos desafíos del presente y del futuro

El organismo cultural de la ONU ha anunciado las nuevas inclusiones en una lista que reconoce lugares de todo el mundo por su valor excepcional para la humanidad. Ya son 1.248 en 170 países

El presidente de Estados Unidos ha anunciado su plan arancelario para el mundo, sin mencionar a México ni Canadá

Es hora de recordar a cada gobierno que invertir en la respuesta al VIH tiene un alto retorno: por cada dólar invertido hasta 2030, se genera un beneficio neto de aproximadamente 28 dólares

El fundador de Kortatu y Negu Gorriak actúa en el Movistar Arena como parte de una gira multitudinaria tras cuatro décadas de mestizaje musical, activismo e intentos de cancelación

Naciones Unidas presenta su último Informe de Evaluación Regional sobre el Riesgo de Desastres para la región

Marlon James, el ganador del Booker por su epatante ‘Breve historia de siete asesinatos’, se pasa a la televisión e inventa a una detective de Scotland Yard que decide volver a casa, y ajustar cuentas con un pasado, y un Caribe, feroz
La escritora se adentra en la Inglaterra victoriana con ‘La impostura’, su primera novela histórica, que tiene como trasfondo el célebre caso Tichborne

El artista jamaicano lo tenía todo para un ‘biopic’: una música irresistible, una imagen mesiánica y debilidades muy humanas. La película no logra explicar qué lo hacía extraordinario

Para aquellos que prefieren evitar el picante, esta salsa es el complemento perfecto para darle un twist de sabor a cualquier platillo

Los indicadores de mayo y junio son “extremadamente atípicos” en esta temporada y el calentamiento global tiene mucho que ver. Estudios sugieren que los próximos ciclones tropicales serán más intensos que años anteriores

Un cómic reconstruye el concierto One Love Peace, celebrado en 1978 bajo un contexto de tensión en el país caribeño

El partido final de esta edición del torneo organizado por CONMEBOL y CONCACAF se jugará en el Hard Rock Stadium en Miami Gardens, Florida

Las personas que participaron en el programa de Visas de Diversidad de Estados Unidos, también conocido como “lotería de visas”, ya pueden acceder a los resultados de sus solicitudes

Corales, manglares y nidos de tortugas se ven afectados por la llegada masiva de esta alga desde las islas del Caribe colombiano hasta México

Del archipiélago panameño de Guna Yala al arenal costarricense de Santa Teresa, tres playas de El Salvador para los aficionados al surf o enclaves casi desconocidos de Barbados y México

Piloto de autogiros, el consejero delegado de la cadena hotelera que está a punto de facturar 1.000 millones disfruta de los vuelos: “No recibo ni llamadas ni mensajes”

Países de todo el mundo se preparan para la extracción de componentes valiosos para la tecnología y la transición verde en aguas internacionales, que podría ser aprobada el año que viene. Pero quedan muchas incógnitas acerca de las consecuencias para las naciones en vías de desarrollo

Jonathan Escoffery explora con humor la búsqueda de una identidad propia de los descendientes de inmigrantes en una novela que fue finalista al último Premio Booker

En esta segunda entrega de una ambiciosa trilogía, el escritor jamaicano explora el África precolonial del espiritismo y de una cultura tribal envuelta en enigmas, hechicería y pavor desde una épica que persevera en el realismo mágico de sus primeros libros

Un informe que se presenta este miércoles ante la ONU concluye que las partículas y gases tóxicos emitidos podrían provocar unas 6.000 muertes prematuras en la región del Caribe en 30 años

Un repaso por las obras de las artistas de esta edición del festival de foto de Arlés, en Francia. De Brasil, India o Irán, emigrantes en Europa e hijas de la diáspora afrocaribeña en Estados Unidos, ofrecen miradas múltiples y otra profundidad de campo

El equipo entrenado por Pia Sundhage no supera la fase de grupos, apeada por el equipo caribeño y por Francia, y sigue lejos de un laurel nunca logrado

Se publica una monumental historia de la música jamaicana que va más allá de Bob Marley

El proceso para renovar más de la mitad de los comisionados se da entre nominaciones retiradas, cambios en Gobiernos de la región y una reducida unidad interna

El ‘Spring Break’ se trata de una semana de vacaciones durante los meses de marzo o abril donde los estudiantes universitarios norteamericanos cambian las aulas por las playas para divertirse

Cada 6 de febrero es el día de Bob Marley, un artista inseparable de la isla caribeña que le vio nacer. Pero más allá de la música, una exuberante riqueza natural, su gastronomía o playas idílicas son motivos de peso para animarse a visitarla

El exvelocista es uno de los afectados por el fraude de un fondo de inversión que ya está investigando el Gobierno jamaicano. Sus abogados reclaman la restauración el dinero en 10 días o amenazan con “una gran demanda”

Devon House, la vivienda de George Stiebel, se convirtió en símbolo de esperanza para los jamaicanos más desfavorecidos y ahora es un vibrante centro cultural y gastronómico

Desconectar, saborear, aprender y relacionarse con la población local son algunos de los propósitos que inspiran la lista anual de este sello de viajes. De la enigmática pero cercana Albania a los colores de la isla de Jamaica, los sabores exquisitos de la cocina limeña, las comunidades indígenas de Alaska o Guyana como la nueva estrella del ecoturismo en Sudamérica

Por 500 euros se puede dormir al lado de la máquina de escribir del autor y beber el champán favorito del mítico agente secreto. Con motivo del 60º aniversario de la primera película de la saga, el dueño de la casa ha ampliado el hotel y añadido cuatro restaurantes con multitud de homenajes a 007

Estudiosos del género y de otros paralelos como el ‘trap’ o el pop urbano subrayan que el rechazo que suscitan puntúa positivamente en algunas capas de la sociedad